На Филиппины надвигается супертайфун: власти проводят массовую эвакуацию населения

В воскресенье власти Филиппин начали масштабную эвакуацию более 100 тысяч человек из восточных и северных регионов страны из-за приближения супертайфуна "Фунг-Вонг". По всей стране объявлено штормовое предупреждение, а в некоторых провинциях введен самый высокий, пятый, уровень опасности.
Источник: Reuters
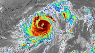
Детали: Метеорологические службы сообщают, что супертайфун "Фунг-Вонг" несет постоянные ветры со скоростью 185 км/ч с порывами до 230 км/ч. Ожидается, что стихия выйдет на сушу не раньше вечера воскресенья по местному времени.
Самый высокий, пятый уровень опасности объявлен над южно-восточной частью Лусона, в частности в провинции Катандуанес и прибрежных районах Камаринес-Норте и Камаринес-Сур.
Последствия приближения стихии уже ощутимы по всей стране. Регулятор гражданской авиации сообщил об отмене более 300 внутренних и международных рейсов
В социальных сетях, в частности на платформе X, местные жители распространяют видео, демонстрирующие ухудшение погодных условий: сильный ветер, срывающий ветки с деревьев, и большие волны, которые уже начинают затапливать побережье.
Ситуация осложняется тем, что Филиппины еще не оправились от последствий предыдущего стихийного бедствия. "Фунг-Вонг" приблизился к стране только через четыре дня после тайфуна Kalmaegi, который унес жизни 204 человек и оставил после себя значительные разрушения, прежде чем двинуться на Вьетнам. Там он вызвал гибель еще пяти человек и опустошил прибрежные общины.










